Australië is één van de beste plekken ter wereld om je PADI te halen. De duikscholen zijn er enorm professioneel en er is een strenge wetgeving die ervoor zorgt dat je op een veilige en juiste manier leert duiken. Daarnaast is het goedkoper om in Australië je PADI te halen dan in Nederland.
En dan is er natuurlijk nog de omgeving. Het grootste koraalrif van de wereld: het Great Barrier Reef.
Waar leren duiken in Australië?
De beste plek om te leren duiken is Cairns. Deze stad in de Australische staat Queensland ligt op 1,5 uur varen van het Great Barrier Reef. Je vindt hier meerdere professionele duikscholen.

Welke duikschool is het beste?
Ik haalde in 2018 mijn PADI bij Pro Dive Cairns. Ze zijn de grootste duikschool in Cairns en bieden een programma aan waarbij je in 5 dagen leert duiken.
Wat kost het?
Goedkoop is het niet. Ik betaalde € 800 (in 2018) voor de 5-daagse duikcursus.
Inclusief:
- Lessen en lesmateriaal
- Duikmateriaal
- Boottocht van 3 dagen naar het Great Barrier Reef
- Eten, drinken en snacks op de boot
- Duikbrevet, niveau: Open Water Diver
Extra opties:
Met een Open Water Diver brevet mag je tot 18 meter duiken. Wil je tot 30 meter kunnen duiken? Kies dan voor de Adventure Diver uprade. Hiervoor betaal je 180 dollar meer (in 2018).
Pro Dive Cairns duikprogramma
- De eerste twee dagen heb je ’s ochtends theorieles in de klas en ’s middags duikles in het zwembad.
- De derde dag ga je het water op. Samen met andere cursisten verblijf je op een boot die de komende drie dagen en twee nachten je thuis is. Je krijgt twee keer per dag les en duikt op het Great Barrier Reef.
- De vierde dag ben je gecertificeerd Open Water Diver. Wil je meer? Upgrade jezelf dan naar Adventure Diver.
Intensief
Het programma is intensief. Je bent vijf dagen lang nieuwe dingen aan het leren. Mentaal moet je er goed bij blijven maar ook fysiek is het zwaar.
Ik vond vooral het hele gedoe voordat je het water in kan vermoeiend. Pak aan, BCD in elkaar zetten, alles controleren, je buddy controleren, flippers aan. In het water, opdrachten uitvoeren, uit het water, alles weer uit. En dat twee keer per dag.

Zelf duiken
Nadat je je PADI hebt gehaald mag je zelf, zonder instructeur, duiken. Omdat ik koos voor de upgrade had ik nog een keer extra les. Ik heb in totaal twee keer zelfstandig gedoken. Dat was heel tof maar ook wel een beetje eng. Tijdens de vrije duiken mag je een GoPro of onderwatercamera meenemen. Tijdens de duiklessen mag dit niet.

Nachtduik
Een onderdeel van het programma is de nachtduik. Veel mensen vonden dit eng omdat er haaien zwemmen die vooral ’s avonds actief worden. Ik kon juist niet wachten om het water in te gaan. Spannend toch!?

Hoe is het om drie dagen lang op een boot te zitten?
Ik moest er even aan wennen. Drie dagen met 31 mensen op een kleine oppervlakte is niet zo mijn ding. Maar je went eraan. En iedereen is aardig omdat je op vakantie bent.

Slapen op de boot
Mede door het intensieve programma heb ik heerlijk geslapen. De boot ging ook een beetje heen en weer als een wieg. Ik vond dat heerlijk. Maar er waren ook mensen die geen oog dicht gedaan hebben en het vreselijk vonden.
Eten op de boot
Op de boot was een kok aanwezig en die zorgde heel goed voor ons. Er was altijd genoeg te eten, zelfs voor lastige vegetariërs zoals ik. Ontbijt, lunch, diner en snacks. Ik weet nog steeds niet hoe ze dat allemaal voor elkaar toverde in die kleine ruimte.
Zeeziek
Als je snel zeeziek wordt dan zou ik aanraden om een aantal pillen mee te nemen. Er is niets zo onvoorspelbaar als de zee en als je misselijk bent kun je niet duiken.
Landziek
Ik dacht dat de crew een grapje maakte maar landziekte bestaat dus echt! Toen ik na drie dagen op de boot weer aan land kwam voelde ik me draaierig en uit balans. Ik heb er nog twee dagen last van gehad.
Pro Dive Cairns crew
De bemanning was geweldig. De kok, de kapitein, de Dive Master en natuurlijk onze instructeurs. Allemaal toffe mensen die enorm hun best deden om het ons naar de zin te maken.
Dont stop diving
Als je eenmaal je brevet hebt gehaald stop dan niet met duiken! Zo’n 80% van de mensen die hun PADI haalt schijnt daarna te stoppen met duiken. Hoe zonde is dat!?

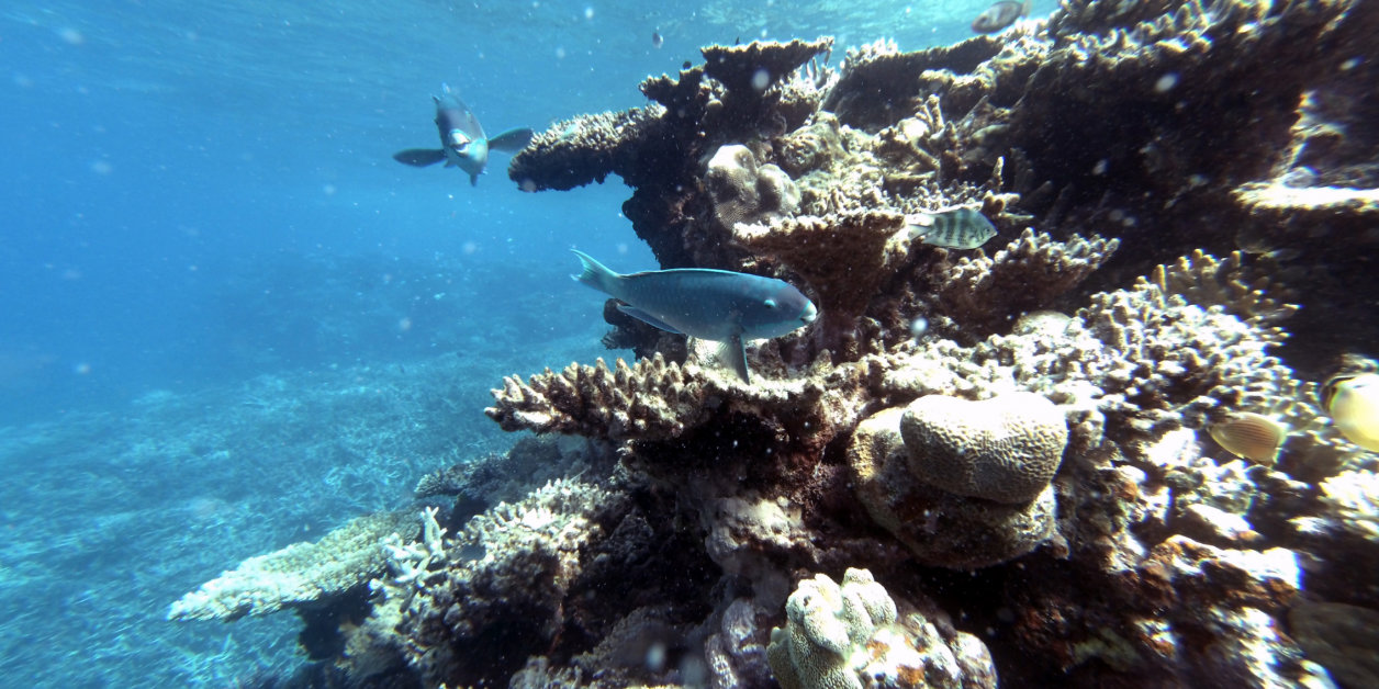
Duiken op het Great Barrier Reef
Ik maakte een filmpje van mijn duikavonturen op het Great Barrier Reef. Het beeld schudt helaas een beetje want ik moest het toen nog allemaal leren.
